Nacionales Viernes, con tiempo estable y baja probabilidad en registrarse lluvias en gran parte del país. 31 octubre, 2025
Nacionales Brigada de Bienestar Michoacán participa en Plan Integral de Apoyos en Hidalgo 30 octubre, 2025
Nacionales Miércoles, con lluvias y aire polar debido al avance del Frente Frío 11 sobre México. 29 octubre, 2025
Nacionales GOBIERNO DE MÉXICO: SE HAN OTORGADO 70 MIL 256 APOYOS A PERSONAS AFECTADAS POR LAS LLUVIAS 27 octubre, 2025
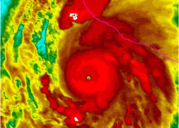
Nacionales Hoy, 23 de octubre, se cumplen 10 años del impacto del huracán #Patricia en México. 23 octubre, 2025
Nacionales Martes, con sensaciones térmicas muy calurosas y lluvias fuertes en el transcurso de la tarde y noche. 21 octubre, 2025
Nacionales Inés Lares y Carlos Ayala ganan bronce en Mundial Sub-21 de Voleibol de Playa Puebla 2025 20 octubre, 2025