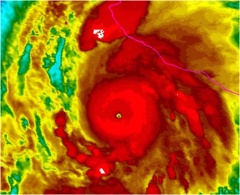
El huracán Patricia fue uno de los sistemas tropicales más intensos registrados en la historia del planeta, alcanzando vientos sostenidos de 330 km/h y rachas de hasta 400 km/h.
Su rápida intensificación, al pasar de Tormenta Tropical a huracán categoría 5 en menos de 24 horas, sorprendió al mundo y fue catalogada como una “intensificación explosiva”.
Patricia impactó las costas de #Jalisco y #Colima, dejando una huella histórica en la meteorología tropical.
Fenómenos de esta magnitud no ocurren cada año; sin embargo, el desarrollo de sistemas recientes, como #Otis, evidencia que aún existe la posibilidad de que se presenten ciclones tropicales de gran intensidad.
Por ello, es fundamental mantener la cultura de la prevención y estar preparados ante futuros eventos extremos.
Elaboró:
Lic. Alexis Campos Esquivel









Discussion about this post